
Le Crémant blanc n’est pas la seule couleur du Crémant du Jura. Dans sa version Crémant Rosé, il se compose obligatoirement d’au moins 50% de Poulsard, trousseau ou Pinot-noir, en assemblage ou non.
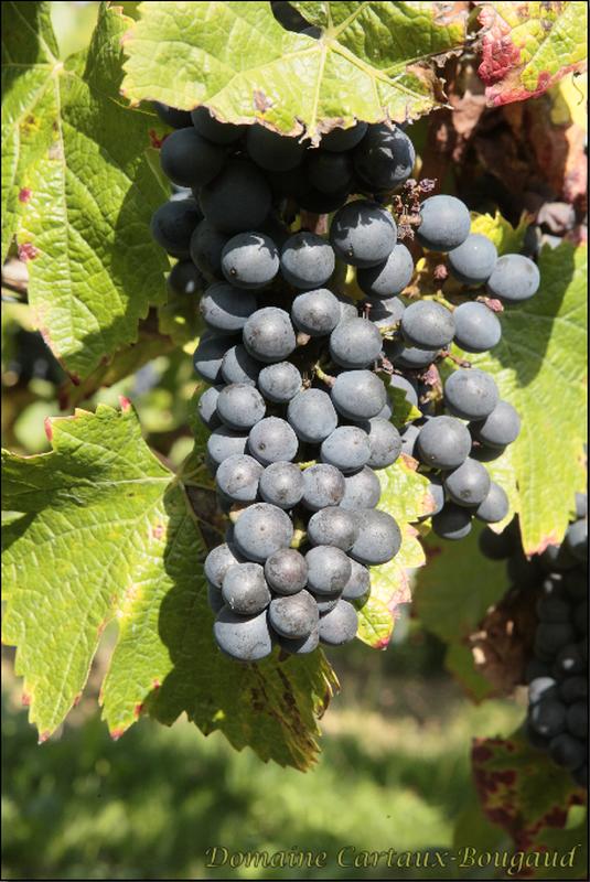
On trouve des mousseux dans le Jura depuis le XVIII ème siècle, mais c’est en 1996 que l’Appellation d’Origine Contrôlée Crémant a été créée. Pour l’obtenir, il faut suivre un cahier des charge garant de la qualité du produit. On trouve traditionnellement dans le Jura des Crémants Blancs et Rosés , Brut ou Demi-sec. Le Crémant rosé est produit à base généralement de cépage Poulsard, nous nous utilisons un assemblage de Pinot noir et de Trousseau.
Les arômes du Crémant Rosé rappellent les petits fruits rouges.
Parfait pour l’apéritif, avec une soupe de fraises au printemps, ou pour accompagner des filets de poissons travaillés avec des épices douces comme le tandoori.
| Appellation (AOC) |
Crémant du Jura |
| Cépage |
Pinot et trousseau |
| Millésime |
|
| Degré |
12,5% |
| Couleur |
Rosé |
| Garde |
2 ans |
| Température de dégustation | Entre 4° et 6° |
| Accompagnement |
Apéritif, desserts |
| Arômes |
Arômes |
Examen Organoleptique :
La vue : Rose pastel, claire et brillante. Fines bulles dansantes.
Le nez : Notes florales de roses, petits fruits rouges.
En bouche : Attaque franche grâce a ses fines bulles qui enveloppe tout le palais.
Un équilibre fruité tout en finesse.



